I 2001 blev der udskrevet en konkurrence med det formål at give landets tegnestuer og byggebranchen en udfordring: Tegn billige kvalitetsboliger! Tegnestuen Juul og Frost vandt med byggeriet Pærehaven (se dette) som blev bygget i Køge i 2004. Efterfølgende blev selskabet Bedre Boliger Billigere (BBB) stiftet. Tegnestuen Vandkunsten vandt samtidigt konkurrencen om Kvistgårdhusene med et enkelt og klart system, der kunne masseproduceres, og samtidigt gav den fornødne variation og arkitektoniske værdi, der var et krav fra BBB.
Hver boliggruppe definerer et overskueligt fællesskab med en indre fælles gårdhave.
De private gårdhaver vender ud mod bebyggelsens åbne fællesskab.
Husene er træklædte trækonstruktioner malet dybt mørkebrune og bygget af præfabrikerede elementer
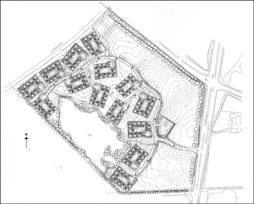
Byggeriet er beliggende tæt ved Kvistgård Station på jernbanen mellem Hillerød og Helsingør.
Bebyggelsen består af gårdhavehuse, der er samlet i grupper på ni, der alle har to etager. For at holde priserne nede er alle grupper helt ens og tager ikke hensyn til placeringen i landsskabet. 54 af de planlagte 128 huse nu er opført.
Hver bolig har et grundmodul på 5 x 5 meter og varierer i størrelse fra 96 m2 til 176 m2. Et hus på 96 m2 kan lejes for 8.000 kr. om måneden eller købes for 1,8 million.
Se på Google Maps
